00件
最近見た物件
00件
検討リスト
ERA LIXIL不動産ショップ 愛情エステート > (土地(売買))地域から探す > 焼津市 > 焼津市惣右衛門 60.25坪 > 物件詳細










(※元利均等方式 金利5.00%まで ※返済年数5~50年まで入力できます)
(※ボーナスは年2回で計算しています。1000万円まで入力できます)
(※物件購入時、その他諸費用が発生する場合がございます)
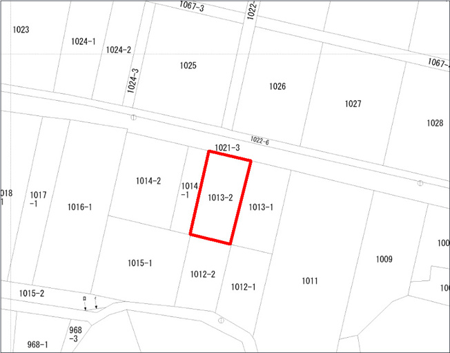
| 所在地 | 静岡県焼津市惣右衛門1013-2 | ||
|---|---|---|---|
| 交通 | |||
| 価格 | 298万円 | ||
| 土地の敷金/保証金 | -/- | 借地料/借地期間 | -/- |
| 土地面積(坪数) | 199.18㎡(60.25坪) | 坪単価 | 4.95万円 |
| 私道負担面積/セットバック | -/無 | 高圧線下面積 | - |
| 傾斜地部分面積 | - | 路地状敷地 | - |
| 土地権利 | 所有権 | 接道状況 | 一方(北 公道 3.5m 間口 9.5m) |
| 都市計画 | 市街化調整区域 | 用途地域 | - |
| 建築条件 | 無 | 地目/地勢 | 宅地/平坦 |
| 建ぺい率 | 50% | 容積率 | 80% |
| 総区画数 | - | 販売区画数 | - |
| 国土法届出要否 | 不要 | その他の法令上の制限 | 景観法/高さ最高限度有/日影制限有/建築基準法第22条区域内 |
| 取引態様 | 売主 | 現況 | 古家有 |
| 引渡時期 | 相談 | 引渡条件 | 現況渡 |
| 最適用途 | 住宅用地 | ||
| 物件番号 | 93122579 | 取引条件の有効期限 | 2026年02月17日 |
| 設備条件 |
|
||
| 取扱会社 |
|
||
| QRコード |
このQRコードを読み取ることで、スマホでも物件情報を確認できます。 |
||
※地図上に表示される物件の位置は付近住所に所在することを表すものであり、実際の物件所在地とは異なる場合がございます。
焼津市惣右衛門 60.25坪に関するこだわり条件から探す
焼津市の町名から探す
焼津市にある駅から探す